Thank you
Your message has been sent successfully, we will get in touch with you as soon as possible.
€80,000 Sale Agreed
Contact Us
Our team of financial experts are online, available by call or virtual meeting to guide you through your options. Get in touch today
Error
Could not submit form. Please try again later.
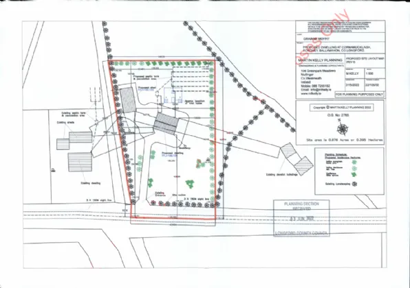
0.9 Acre Site
Forgney
Ballymahon
Co. Longford
Description
The proposed plans feature a layout that includes an entrance hall, a generous living room open to the kitchen and dining area, a utility room, and a guest WC on the ground floor. Upstairs, the design offers a landing leading to four bedrooms—two with front aspect and two overlooking the rear. The primary bedroom includes an en-suite, with a main family bathroom completing the accommodation.
Located just minutes from Ballymahon and within easy reach of Edgeworthstown, Mullingar, Longford, and Athlone, this site offers the benefits of rural living with access to a full range of amenities. It is also close to the scenic and historic Lough Ree, as well as the popular Center Parcs resort at Longford Forest, enhancing both lifestyle appeal and long-term value.
This is a unique opportunity to create a family home in a family-friendly area. The combination of generous site size, planning permission, and excellent location makes this aan ideal choice for self-builders or investors seeking a prime residential project.
Viewing is highly recommended to fully appreciate the setting and potential this site has to offer.
Features
• Full planning permission for a 4 bed detached house
• Secluded site
• Unique opportunity
• Close to Athlone
• Close to Mullingar
• Close to Edgeworthstown
• Five minutes from Ballymahon
• Close to Longford
• Close to Centre Parks Ballymahon
• Prime location
• Family area
• Private site
About the Area
Ballymahon (Irish: Baile Uí Mhatháin) on the River Inny is a town in the southern part of County Longford, located at the junction of the N55 National secondary road and the R392 regional road. In comparison to other towns and villages in Co. Longford, Ballymahon is a young town. The earliest documentary evidence was in the year 1578.
The buildings in the town are of late Georgian architecture, with two and three storey gabled houses, colour-washed and in rows of three and four. A special feature of the town is its wide main street. The River Inny, a tributary of the River Shannon, flows westwards through Ballymahon in the direction of Lough Ree three miles from the town. The Royal Canal also passes westwards through Ballymahon from Dublin to Clondra, Co. Longford and has now been restored.
Ballymahon is on the N55 road, a major route leading from Athlone, about 22 kilometres to the south, towards Belfast and Northern Ireland. The county town of Longford lies about 22 kilometres to the north-west.
Get Directions Buying property is a complicated process. With over 40 years’ experience working with buyers all over Ireland, we’ve researched and developed a selection of useful guides and resources to provide you with the insight you need..
From getting mortgage-ready to preparing and submitting your full application, our Mortgages division have the insight and expertise you need to help secure you the best possible outcome.
Applying in-depth research methodologies, we regularly publish market updates, trends, forecasts and more helping you make informed property decisions backed up by hard facts and information.
Need Help?
Our AI Chat is here 24/7 for instant support
Help To Buy Scheme
The property might qualify for the Help to Buy Scheme. Click here to see our guide to this scheme.
First Home Scheme
The property might qualify for the First Home Scheme. Click here to see our guide to this scheme.
